販売物件情報
中間市池田1丁目
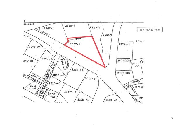
物件情報
| 価格 | 764万円 |
|---|
この物件のお支払い例
頭金0円/ボーナス払い0円
764
21,124
※上記支払例の借入条件:金利0.975%、借入総額764万円、借入期間35年
| 画像 | |
|---|---|
|
|
|
所在地・交通
| 所在地 | 中間市池田1丁目 | ||
|---|---|---|---|
| 最寄駅 | 筑豊電鉄線 東中間 | 徒歩分数 | 11分 |
| 最寄バス停 | 徒歩分数 | ||
| 小学校校区 | 中学校校区 | ||
※学校区は住所から自動判定したものであり、保証できる情報ではございません。正確な学校区はお問い合わせ下さい。
「人型アイコン」を地図上にドラッグすることで『Google Street View』に切り替わります。
※地図上の「対象地」は「〒809-0024 福岡県中間市池田1丁目」の場所を指しています。実際の場所ではない場合がございます。詳しくはお問い合わせください。
物件概要
| 種目 | 売地 | ||
|---|---|---|---|
| 土地面積 | 421㎡ | 私道面積 | |
| 建ぺい率/容積率 | 60%/200% | 都市計画 | 市街化区域 |
| 接道状況 | 西6m 公道 接面33m | ||
| 地目 | 雑種地 | ||
| 土地権利 | 地勢 | ||
| 用途地域 | 第一種中高層住居専用地域 | ||
| 現況 | 更地 | 取引態様 | 媒介 |
取引条件等
| 引渡し | 即時 |
|---|
その他
| 条件等 | |||
|---|---|---|---|
| 設備 | 電気、都市ガス、上水道、下水道、側溝、都市ガス、上水道、下水道、側溝、電気 | ||
| 諸条件・相談 | |||
| 情報登録日 | 2025年1月6日 | 情報更新予定日 | 2025年11月18日 |
| 物件番号 | 115029 | ||























































